地理プラの街歩きに参加した
参加させてもらったのは、もともと地理を専攻していた有志でつくる「みんなで地理プラーザ!(地理プラ)」が企画した街歩きだ。
多摩ニュータウンを歩くのでぜひ、という呼びかけを見て参加し、取材の許可をいただいた。
多摩ニュータウンはどこにあるか
実際に歩く前に、まずは基本的なところを確認したい。多摩ニュータウンは東京の西部、多摩市を中心に整備された地域で、下の地図で赤く囲ったところだ。
けっこう大きな範囲だ。右側に緑で囲った山手線の範囲と比べてほしい。山手線の内側をぜんぶ更地にして団地を建てることを想像すれば、その規模がわかる。
巡検に参加する
集合場所は京王線と小田急線が走る永山駅というところ。
左端にいるのが地理プラの山口健太さんで、きょう多摩ニュータウンを案内してくれるとのこと。さっそく丁寧な口調で話し始める。
山口さん「本日はここ永山をスタートしてニュータウンの団地群を見ながら歩いていって、お隣の多摩センターの駅まで大体 6 km ほど歩いてまいります。で、その電車に乗って南大沢駅まで移動して、2 km ほど移動を考えております。」
きょうは永山周辺と南大沢周辺の2本立てということらしい。そして説明のための資料は各自のスマホで確認できるように準備がされていた。まずは地図の確認だ。
「今いるところが中央右寄りの永山駅で、だいたい京王の稲城駅から多摩境駅にかけてこういうふうに広がっているのが多摩ニュータウンです」
歩き始める前にまずは前提知識をいろいろと教えてくれた。
多摩ニュータウンは21個の住区と区画整理エリアで構成されている。高度経済成長期に東京に人が流れ込み、住宅不足になったので住宅を供給しましょうという流れで、丘を切り開いて作った。
地図に「6 永山」とか「7 貝取」のように番号と名前が書いてあるが、この一つ一つが「住区」だ。ぜんぶで21個あるらしい。
多摩ニュータウンは近隣住区論というものに基づいて設計されている。住区は5000人程度の中学校一つ分のコミュニティで、それを細胞のように重ねて街を作っていく。
生活は基本的に住区の中で完結できるよう、買い物などは住区のなかの「近隣センター」でできるようになっているが、その上位には永山駅や多摩センター駅のような「地区センター」がある、という階層構造になっているらしい。
いまいる永山は、1971年に多摩ニュータウンがまちびらきしたときにできた最初の街になる。
![]()
「これから行くのが諏訪と永山という団地ですが、それらの最初期に作られた団地がどういったものだったのか、そして現状がどうなっているかというところを見ていきたいと思います」
前提知識とともに、今からどこをどういう視点で見るかが提示されるので分かりやすい。というか、なるほど見るぞーという気になる。
諏訪団地へ
![]()
まず訪れたのが諏訪(すわ)団地というところだ。駅から少し登った丘の上にある。
むかし諏訪神社があったことからもともと「諏訪越(すわごし)」という地名(小字)になっていて、そこから来ているらしい。その由来がここに書かれています、と山口さんが言うとみんなゾロゾロと集まる。
![]()
そして地形の話だ。いま丘を登って諏訪団地にやってきた。
![]()
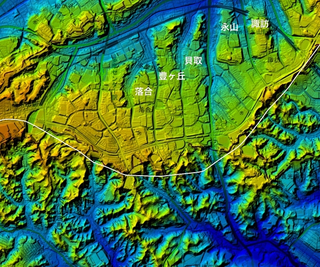
ふりかえるとこんな景色。けっこう高い。右手側が永山駅だ。この地形のなかにどうやって団地を作ったのか。
ここには、白い線で書いた乞田(こった)川という川が東西に流れていて、深い谷を作っている。そこに灰色で書いた支流が南から何本も並行に流れ込んでいて、それぞれの谷を作っている。そして多摩ニュータウンの「諏訪」や「永山」といった住区は、基本的にそれらの谷で区切られた丘ごとの単位になっている。
「そういった地形を埋め立てたり、あるいは活用して作ったのが多摩ニュータウンです」
埋め立てたようすは、より広い地図を見るとわかる。
白い線を境に、北側は平らだけど、南側はでこぼこしているのがわかる。このでこぼこしてるのがこのあたりの本来の地形で、それを埋め立ててなるべく平らにしたのが北側の多摩ニュータウンということだ。
いよいよ団地が見える
歩いていくと、ついに団地が見えてきた。背の高い建物だ。
![]()
「1970 年代前半には、こういうポイントハウスと呼ばれる縦長の建物を団地の端っこに置く傾向が強いです。団地にとってのシンボルだとか、外から見た時にかっこいいのが見えるねっていう感じでこう外側に置くのが多いとされています。」
なるほど。団地の入口にシンボルとして建てるということか。
![]()
これが、時代がちょっと進んで1970年代半ばになると、むしろ中心部の目印として置くことが多くなったという。なのでこれが外側にあるということからも、諏訪・永山が最初期に作られたことがわかるのかもしれない。
ちなみに「スターハウス」とよばれる星形の建物も似たようなところに置かれることが多かったが、それはポイントハウスよりちょっと前の世代なのだという。
新しいマンションたち
「このポイントハウスを抜けると雰囲気がガラッと変わります」と山口さん。
![]()
いかにも新しそうなマンションという感じだ。
「これがコンフォール諏訪で、URの賃貸です。ここは数年前まで古い団地が残ってたんですが、ここ数年で建て替えました。」
![]()
そしてこれは「ブリリア多摩ニュータウン」。これも最新のマンションで、民間に土地を売り払って民間が建てたもの。
多摩ニュータウンといえば、建物の老朽化という話を聞いたことがある。このあたりが最初期に建てられたからこそ、ここが最初に建て替えの時期になっているということのようだ。
スキップフロアの団地
![]()
その最新のマンションの奥に、昔ながらのスキップフロアタイプの団地がある。
このタイプはエレベーターを三階おきに停めて、通路もその階だけに作る。その上下の階への移動には階段を使う。だから通路が三階おきにしかないのが外見上の特徴だ。
こういうことをする理由は、建設コストを安くしたり、南北の両側に窓を持つ住戸を増やすためだったという。たしかに、ふつうは南側に窓があったら北側は通路になっていて窓はない。スキップフロアなら、通路のない階には両方に窓を作ることができる。
「公団というものが、住宅供給が目的だとは言いつつも、どういう住宅の供給のあり方をすべきかっていうのを模索したエリアでもありました」と山口さん。
建て替え前の諏訪団地も残っている
しばらくいくと、工事中の区画に古い建物が残っていた。これから壊されるところなのだろう。
![]()
下の方が見えないが、五階建だ。正面の入口から中央の階段を登っていき、部屋は階段の左右に配置される。階段室型というそうだ。
「基本的にはここが全部これで並んでいたということになります」
当時の団地がまだ残っていてよかった。諏訪団地には初期と最新が両方ある。
近隣センター
![]()
その先に商店の並ぶエリアがあった。冒頭で聞いていた近隣センターだ。「諏訪名店街」というらしい。
「ここから諏訪から永山まで、諏訪名店街と永山団地名店街を今から歩いて行きます。ここは1階が商店、2 階が住居というセットで分譲・賃貸を行ったところになります。」
ここまでの経路と現在地はこんな感じだ。
![]()
ちょうど諏訪と永山の住区の隣接するところに両方の近隣センターとしての商店街が集まっている。両方の住人が1箇所で買い物などができるようにする意図らしい。
![]()
「クワからレジへっていうスローガンがありまして、元々ここで農業をやってた方が離農せざるを得ない、山林や農地を手放して離農するっていう時に、転職を支援してそういった方から優先的に入居させたっていう文脈です。農業をやってたから八百屋やりますとか、編み物が得意だから服飾やりますとか。そういったようなところで入居されました」
![]()
ただし、今ではシャッターが閉まっているお店も多い。
「やっぱり今見ると閉店してるとこ多いよねってなるんですけど、失敗とも言い切れない部分があります。なぜかって言うと、まずは離農された方の職が維持できればよかったので、その方がやめたら別に継ぐ方がいる必要は必ずしもなかったっていうところなんですね」
とはいえ、新しい動きもあるという。
「あと、2階と1階を分離して1階だけ貸しましょうっていう動きが団地商店街であるそうなんですが、ここでもやってます。なので、そういう結構チャレンジ的なお店がちょこちょこ入ったりだとか、そういったところを UR さんは積極的にやってます。」

